Descrizione

Immobile bifamiliare in vendita a Marciano della Chiana (AR)
Nella frazione del comune, proponiamo in vendita porzione di immobile bifamiliare di ampia metratura, ideale per chi cerca spazio, comfort e grandi potenzialità abitative. con scala condominiale di accesso alle sole due unità abitative .
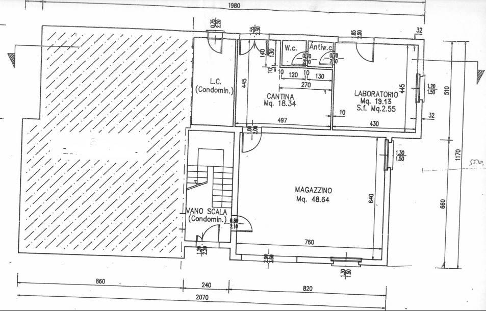
La proprietà si sviluppa su più livelli per una superficie complessiva di circa 200 mq ed è composta da:
• Piano terra: vari fondi per una superficie complessiva di circa 100 mq, ideali come locali accessori, magazzino garage o spazi multifunzionali.
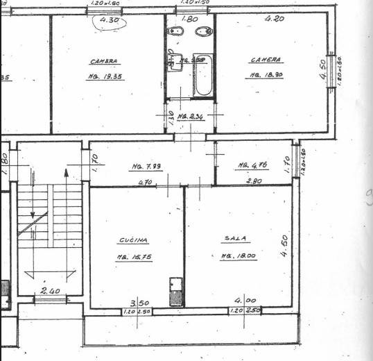
• Piano primo: appartamento con rifiniture anni ’70 di circa 100 mq composto da corridoio, cucina abitabile, sala, due camere matrimoniali di circa 19 mq ciascuna, bagno finestrato, ripostiglio finestrato e terrazzo.
• Piano superiore: sottotetto praticabile con ulteriori possibilità di utilizzo.
Completano la proprietà:
✓ resede esterno esclusivo
✓ garage annesso di circa 25 mq
✓ ampi spazi interni ed esterni
La soluzione è ideale sia per famiglie numerose che necessitano di ambienti ampi e funzionali, sia per chi desidera spazi comodi e versatili
.
Maggiori informazioni in agenzia.


Caratteristiche principali

Stato Immobile
Buono
Grado
Economico
Posizione
Centro
Orientamento
Est Sud Ovest
Lati Liberi
3
Giardino
Comune
Arredi
Non Arredato
Tipo Soggiorno
Salone
Tipo Cucina
Abitabile
Riscaldamento
Autonomo
Tipo Riscaldam.
Caldaia
Tipo Impianto
Radiatori
Fonte Energetica
Metano
Infissi
Legno
Serramenti
Discreto
Persiana
Tapparella PVC
Pavim. Giorno
Graniglia
Pavim. Notte
Graniglia
Pavim. Cucina
Graniglia
Pavim. Bagno
Ceramica
Accessori: Porta Blindata, Ripostiglio

Mappa

pascoli , Marciano della Chiana (AR)

Richiedi informazioni

Invia
Cookie preference